Pronájem skladového prostoru 789 m2 Brněnská, Jihlava

Užitná plocha: 789 m2 Číslo zakázky: 25379
Název: Pronájem skladového prostoru 789 m2 Brněnská, Jihlava
Celková cena: 115 222 Kč (Za měsíc)
Adresa: Brněnská, Jihlava
Datum aktualizace: 27.04.2026
Druh objektu: Skeletová
Stav objektu: Velmi dobrý
Zástavba:
Umístění:
Stavba:
Zařízeno:

Od června bude na východním okraji Jihlavy k pronájmu zajímavý objekt. Jedná se o halu, která víc jak 10 let slouží jako prodejní a skladovací zázemí velké renomované firmy s autodíly, což je z zřejmé z přiložených fotografií. Bylo by samozřejmě logické v podobném podnikání pokračovat, ale nic nebrání úplně jinému využití.
Jsou zde 3 kanceláře, kuchyňka a sociální zázemí (WC a sprcha). Dále je zde i vstupní prostor pro zákazníky. Půdorys této části haly je ve fotografiích.
Kanceláře jsou vytápěny plynovým kotlem, v hale jsou plynová teplovzdušná topidla.

Celková plocha je 789 m², využitelná výška u stěny jsou 4 m, uprostřed 6 m - viz obrázek řezu.
Kromě rampy jsou z boku i velká vrata pro skládání a nakládání větších objemů.
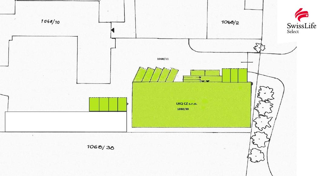
V této souvislosti je důležitá dopravní dostupnost a parkování. Oba tyto parametry naše hala svojí polohou bohatě splňuje. Na jedné z přiložených fotek je zeleně vyznačená plocha haly i parkovací plochy, které jsou předmětem pronájmu.

Pokud bude potřeba, lze halu upravit a přizpůsobit potřebám nového nájemníka.



Druh objektu Skeletová
Stav objektu Velmi dobrý
Typ objektu Samostatný
Typ domu Přízemní
Garáž Ne
Zdroj vody Dálkový vodovod
Rozvod topení Ústřední plynové
Rozvod plynu Plynovod
Typ odpadu Veřejná kanalizace
Příjezdová komunikace Asfaltová
Elektřina 230V, 380V
Doprava Vlak, Dálnice, Silnice, MHD, Autobus
Plocha užitná 789 m²
Celková plocha 789 m²

ULOŽIT JAKO PDF

POSLAT EMAILEM

Umístění objektu

Kontaktní formulář

*
*
*

*

*

Potvrzuji, že v souvislosti s projevením zájmu o služby Swiss Life Select a.s. jsem se seznámil/a s Informačním memorandem pro potenciálního klienta a klienta.

Podobné nabídky